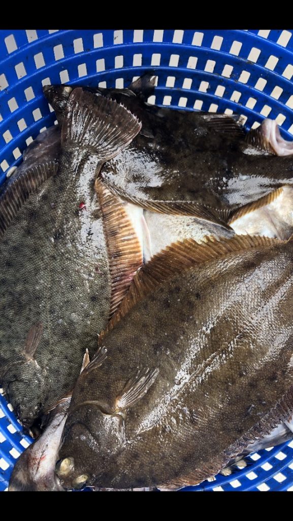
May212020Gloucester Fishing Reports Great Charter today . Kids limited out by noon. Category: Gloucester Fishing ReportsBy Capt Mike SteadmanMay 21, 2020 Author: Capt Mike Steadman Post navigationPreviousPrevious post:Gloucester Flounder outstandingNextNext post:Wakefield Fire Dept. Limits out off shore on Haddock.Related PostsNEW BOAT SEEA TRIALFebruary 25, 2026NEW BOAT ….February 23, 2026Fun day for this Charter ….September 7, 2025Shark !!!!September 6, 2025Bailed the bottom fishSeptember 2, 2025On a big boy …..August 31, 2025